成田市中台6丁目第5 新築戸建18号棟 千葉県成田市中台6丁目|3,888万円の新築一戸建て|分譲住宅や新築物件|株式会社アフィオ

株式会社アフィオ
ピタットハウス接客コンテスト首都圏大会売買部門金賞・銅賞
土地戸建建築注文
トータルにプロデュース
043-309-7350
TOPページ >
物件検索 >
新築一戸建て
>
成田市
>
JR成田線
>
成田市中台6丁目第5 新築戸建18号棟

新築一戸建て

成田市中台6丁目第5 新築戸建18号棟NEW お気に入り
価格 3,888万円 ローンシミュレーション
所在地 千葉県成田市中台6丁目
この地域周辺の物件を見る
土地面積 150.68m² (45.58坪) 建物面積 94.77u
築年月 新築 2026年築 間取り 4LDK (LDK15.5/和室4.5/洋室7.5/洋室5/洋室4.5)
交通
JR成田線 成田/徒歩20分
京成本線 京成成田/徒歩26分
ここがおすすめ

現地案内会開催中‥365日ご案内いつでも大歓迎!!
小・中学校徒歩5分圏内/テレワークルーム/和洋室/対面式キッチン/カースペース2台可/リビングイン階段


  • 外観写真 完成予想図
  • 間取り図(販1戸建) 4LDK
  • キッチン 施工例写真:人気のカウンターキッチンからは、リビングにいるご家族の様子が伺えます
  • 洗面台・洗面所 施工例写真:洗面室に小窓があり、カビ予防にも。大きな鏡で見やすい洗面化粧台です
  • 浴室 施工例写真:1日の疲れを癒す浴室休日の日はお子様とのコミュニケーションの場として
  • トイレ 施工例写真:1・2階ウォシュレットトイレ完備。
  • その他 施工例写真:お留守番も安心のTVモニター付きインターホン
  • その他 施工例写真:ボタンひとつでお湯張りができるオートバス。お風呂の準備もピっと押すだけでらくらく完了!
  • その他 施工例写真:使いやすいシンプルな浴室パネル
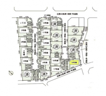
  • その他 区画図:18号棟
  • その他 震度6強クラスとなる120秒間続く地震を約200回受けても衰えない制震性能。震度6の揺れを最大67%低減させます。独自の制震装置「SAFE365」を使用しています。
  • その他 建築基準法で定められた壁量の1.5倍に達する耐震性を維持した地震に強い家。より建物の耐久性を向上させるためメーカーと共同開発を行った制震装置「SAFE365」を搭載しました。
  • その他 入念な地盤調査を実施し地盤が弱い場所には補強の杭を打ち込むなど地盤改良工事を実施しています。
  • その他 建物が載らない部分にもすべてコンクリーとを施すことで耐久性・耐震性・耐湿性がぐんとアップしました。全戸の基礎の主筋に16ミリ鉄筋を使用し徹底的な水平を確保してます。
  • その他 「大頭釘」を使い取り付けることで、壁倍率2.5倍(地震への耐久力の強さを数値で表現)を確保。さらに壁材の裏に「すじかい」を取り付けることで実質壁倍率は4.5倍に達します。
  • その他 断熱材はうまく施工しないと結露の原因になるなど効果が落ちる可能性がありますが、硝子繊維協会のマイスター認定の取得を推奨し質の高い施工を行っています。
  • その他 壁や屋根にも経年によるひび割れがしにくい材料を使用するほか雨の水分で汚れを落とすコーティングが外壁材に施されています。
  • その他 腐敗やシロアリ被害を防ぐため建材に防腐・防蟻処理を施しています。薬剤は健康への影響を配慮した人にやさしい安全性の高いものを使用しています。
  • その他 基礎から屋根まで長期10年保証基礎コンクリートや基礎構造に加え、雨水の侵入や外壁の修理にも対応する長期10年保証がついています。
  • その他 外壁に親水コートを施し、雨の力で付着した汚れを洗い流します。
  • その他 特殊加工を加えたフローリングは劣化や退色に強く、水や頑固な汚れもふき取りやすくお掃除が簡単です
  • その他 浄水器内蔵ハンドシャワー:蛇口の先端に浄水器を内蔵しているため場所をとりません。また、浄水器ごとホースを引き出せます。
  • その他 キャビネットデザイン:シンプルな扉割とまっすぐに伸びた水平ラインが美しく無駄の無い空間を生み出します。
  • その他 床に刻まれたパターンが水の流れを誘導し、翌朝にはカラッと乾きます。
  • その他 浴び心地はそのままに大幅に節水を可能にしました。従来品に比べ約48%もの節水を実現に家計にやさしくなりました。
  • その他 壁と浴槽から離れたデザインだからスポンジひとつで丸ごとお掃除可能。
  • その他 進化したフチ形状「スゴフチ」は汚れてもサッとひとふきでお手入れ簡単。
  • その他 トルネード洗浄なので、少ない水でもしっかりと前方の返し部分から後方部までしっかり洗浄。
  • その他 超表面平滑加工とイオンパワーの「セフィオンテクト」加工で、汚れが付きにくい仕様。
  • 周辺環境 はぼたん幼稚園 徒歩10分。 740m
お問い合わせ、資料請求、見学のお申し込みはこちらから

電話をかける(携帯・PHS可)
043-309-7350
「ホームページを見て」とお伝え下さい。

お問い合わせ番号をお伝えください
RHS-B00119-071176

内見予約・お問い合わせ

セールスポイント

特徴
  • フローリング
  • 給湯器
  • システムキッチン
  • カウンターキッチン
  • シャンプードレッサー
  • 追い焚き
  • シャワートイレ
  • 室内洗濯機置場
  • 浴室乾燥機
  • コンロ三口
  • 床下収納
  • バルコニー
  • TVドアホン
  • 都市ガス
  • カースペース2台以上
  • 新着物件
セールスコメント 現地案内会開催中‥365日ご案内いつでも大歓迎!!

■成田国際空港が近く都心へもアクセス良好
■小・中学校徒歩5分圏内とお子様の通学安心
■制震装置搭載の地震に強い家
■リビング全体を見渡せるカウンターキッチン
■家族との会話も弾むリビングイン階段
■小さなお子様のいるご家庭に嬉しい寛ぎの和洋室
■多用途に活用できるテレワークルーム
■カースペース2台可

・豊富な物件数で、ご希望のお家探しが楽々できます。
・売却のご相談も秘密厳守でスピーディーに対応。
‥株式会社アフィオで今すぐ検索‥

●お客様の笑顔のために。・* 
千葉県の不動産のことなら株式会社アフィオにお任せください!● 
お客様の一生の宝物になるお家探しの、心強いパートナーになれるよう全力でサポート致します!
ご見学やご相談には迅速にご対応致します!
お気軽にお問合せ下さいませ!




物件概要

採光面 南西 構造/階数 木造/地上2階建
建ぺい率 60(%) 容積率 200(%)
駐車場 現況/引渡し -/2026年6月下旬
土地権利 所有権 私道負担面積 -

接道状況 接道: 北東 公道 道路幅: 6m
接道: 東南 公道 道路幅: 4m
用途地域
第一種中高層住居専用地域
セットバック - 法令上の制限 -
地目 宅地 地勢 0
建築確認番号 第KBI-SGM25-10-5518号 都市計画 市街化区域
小学校区
()
中学校区
()
取引態様 仲介
※各種情報と差異がある場合は現況優先となります
※物件情報の学区情報について
当サイト物件情報に記載されております通学区域(学区)情報は、国土数値情報ダウンロードサービスが提供する小学校区データ【2016年度】及び中学校区データ【2016年度】を元に加工したものですので、記載情報が現在の学区域と異なる場合がございます。
国土数値情報ダウンロードサービスのWEBサイト上で記述通り、データは必ずしも正確とは言えません。また、通学区域(学区)は毎年見直しの対象となりますので、そちらを踏まえ学区情報は参考としてご活用下さい。
  • 現地販売会
  • 住み替えをご検討中の方へ
お問い合わせ、資料請求、見学のお申し込みはこちらから

電話をかける(携帯・PHS可)
043-309-7350
「ホームページを見て」とお伝え下さい。

お問い合わせ番号をお伝えください
RHS-B00119-071176

内見予約・お問い合わせ

この物件でローンシミュレーションする

年利率
ボーナス払い 返済年数
頭金 直接入力する 万円

毎月のご返済額

ボーナス(×年2回)

物件価格

3,888万円
※返済金額はあくまでも目安です。

こちらの物件は複数区画の分譲地・他にも販売中のマンションがあります。

成田市中台6丁目
3688万円〜4188万円

電話でお問い合わせ
株式会社アフィオ千葉店

電話をかける

043-309-7350

※「ホームページを見て」とお伝えください。
お問い合わせ番号をお伝えください
RHS-B00119-071176

お問い合わせ

お問い合わせ内容
お問合せ内容必須
【備考欄】
詳細な見学ご希望時間、ご質問、ご希望条件などがございましたらお聞かせ下さい。
(2000文字以内)
お客様情報
お名前必須
連絡先必須 メールアドレス

※ご記入いただいたメールアドレス宛てに、お問合せ内容の確認メールをお送りいたします。
※Yahoo!メールなどのフリーメールをご利用の場合、迷惑メールフォルダに入る場合があります。
 迷惑メールのフォルダ・設定等をご確認下さい。
電話番号
FAX(任意)

お気軽にお問い合わせください

043-309-7350
物件番号 RHS-B00119-071176
※「ホームページを見た」
とお伝え下さい。
税金のことについて
WEBチラシ
スタッフブログ
お客様の声

会社概要

千葉店

〒264-0036

千葉市若葉区殿台町392-1

TEL:043-309-7350

FAX:043-309-6966

千葉南店

〒292-0009

千葉県木更津市金田東6-18-10

TEL:0438-38-6150

FAX:0438-38-6157

株式会社アフィオ

TEL.043-309-7350
〒264-0036
千葉市若葉区殿台町392-1
9:00~18:30
定休日:水曜日

※ピタットハウスの加盟店は独立自営であり、各店舗の責任のもと運営をしております。

千葉県全域の不動産